목록
작성일:25-12-16 00:13    조회:39회    댓글:0건
글 제 목

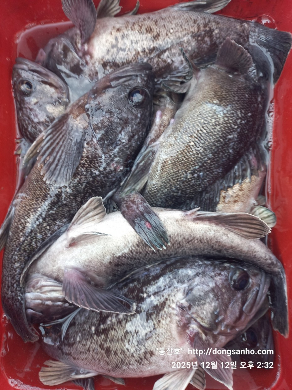
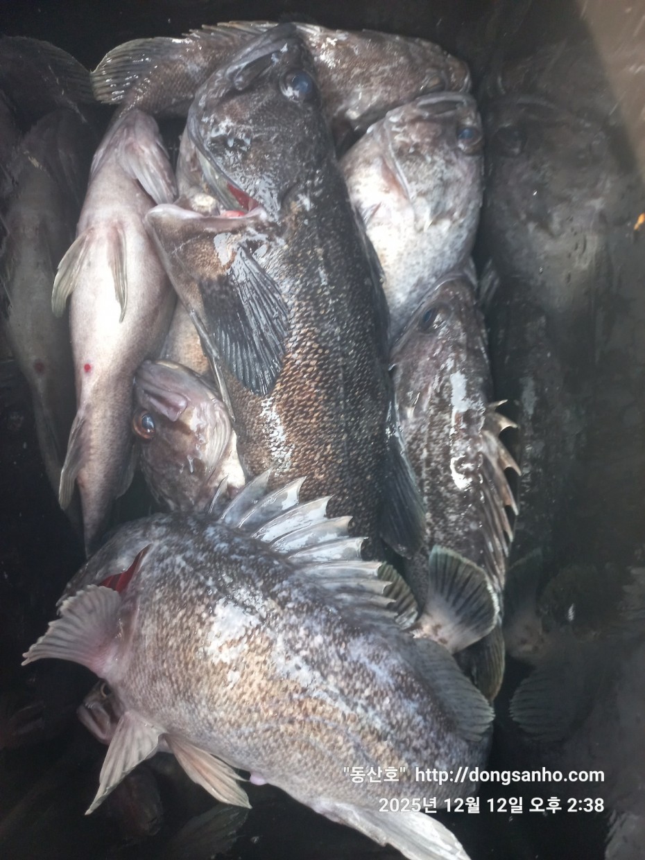
12/12 우럭낚시 조황

작 성 자 동산호

본문




    ◇ 장고항 선상낚시 배낚시 바다낚시 낚시배 

 

        서해 동산피싱 "동산호" 우럭낚시 조황



    날짜 : 12월12일 (금요일)


    날씨 : 맑음


    물때 : 조금


    성적 : 광어 우럭 볼락 



    겨울 날씨로 이제는 띠엄띠엄 출조하네요.



    기온도 떨어지고 수온이 떨어지고는 있지만은 아직까지는 


    물때 날씨만 도와주면 전체 조황은 좋네요.



    오늘도 모든분들 풍족하게 가실수있도륵 더 많이 노력했지만 


    아쉽게도 풍족히 잡은분도 있지만 개인별 조황차이가있네요.



    오늘 하루도 수고들하셨습니다.



    ※12월 1월 2월 쭈욱~ 우럭낚시 예약진행중입니다.


    ※빠른 조황정보는 "동산호" 밴드에서 확인 부탁합니다.

 

    ※출조일정 실시간 예약현황 예약등록가능  "클릭"

 

    ※예약문의 : 010-8771-5168




ee45a88a83aca2ba31c9307ad485821f_1765811

ee45a88a83aca2ba31c9307ad485821f_1765811

ee45a88a83aca2ba31c9307ad485821f_1765811

ee45a88a83aca2ba31c9307ad485821f_1765811

ee45a88a83aca2ba31c9307ad485821f_1765811

ee45a88a83aca2ba31c9307ad485821f_1765811

ee45a88a83aca2ba31c9307ad485821f_1765811

ee45a88a83aca2ba31c9307ad485821f_1765811

     #선상낚시 #배낚시 #바다낚시 #낚시배

       #장고항선상낚시 #장고항배낚시 #장고항바다낚시 #장고항낚시배  

       #당진선상낚시 #당진배낚시 #당진바다낚시 #당진낚시배

       #우럭낚시 #서해우럭낚시 #개우럭 #참우럭 #조피볼락

       #서해선상낚시 #서해배낚시 #서해바다낚시 #서해낚시배

       #쭈꾸미낚시 #주꾸미낚시 #갑오징어낚시 #서해쭈꾸미낚시 #서해주꾸미낚시 

       #당진쭈꾸미낚시 #당진주꾸미낚시 #장고항쭈꾸미낚시 #장고항주꾸미낚시

       #광어 #다운샷 #광어다운샷 #대광어 #외수질 #산새우외수질 #농어 

       #농어외수질 #농어외수질낚시 #서해안선상낚시 #서해안배낚시​ 

댓글목록

등록된 댓글이 없습니다.