목록
작성일:25-12-08 11:31    조회:108회    댓글:0건
글 제 목

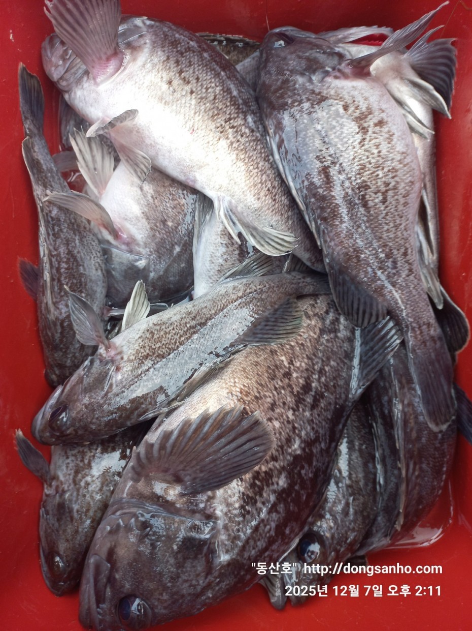
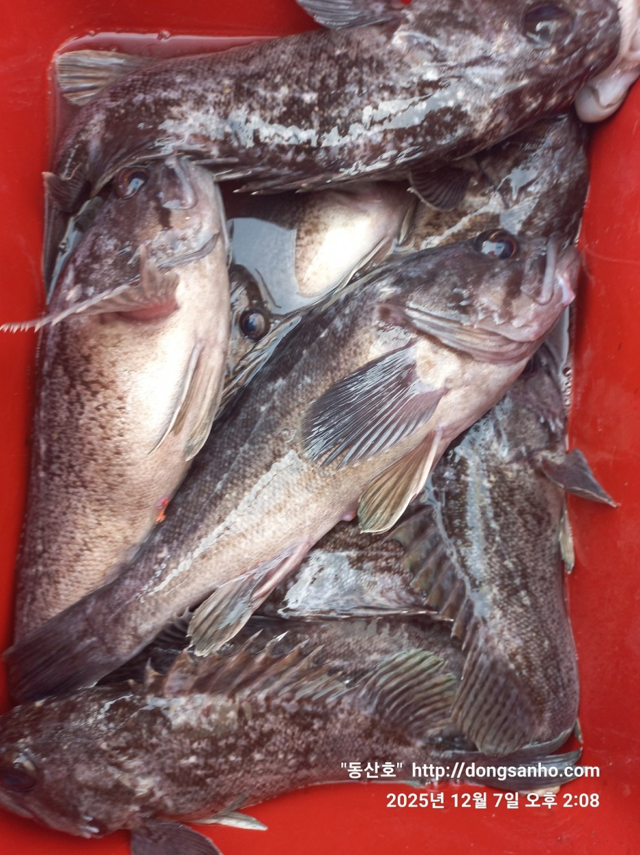
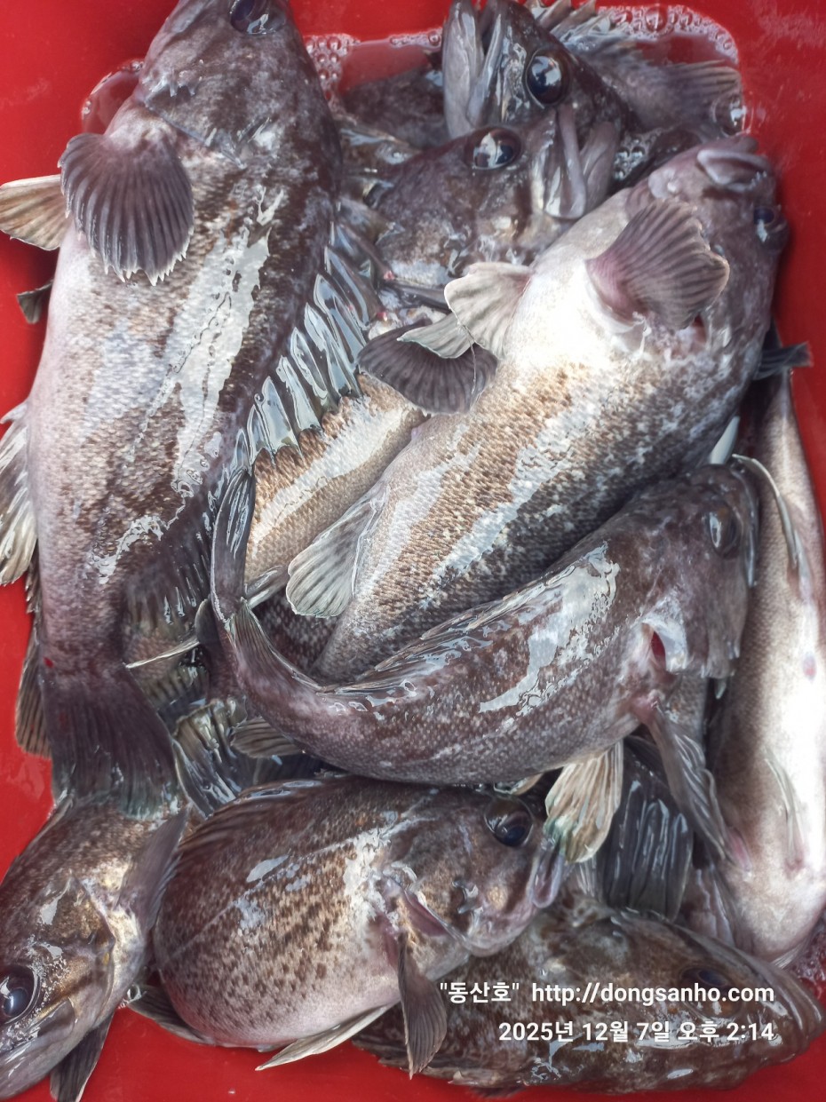
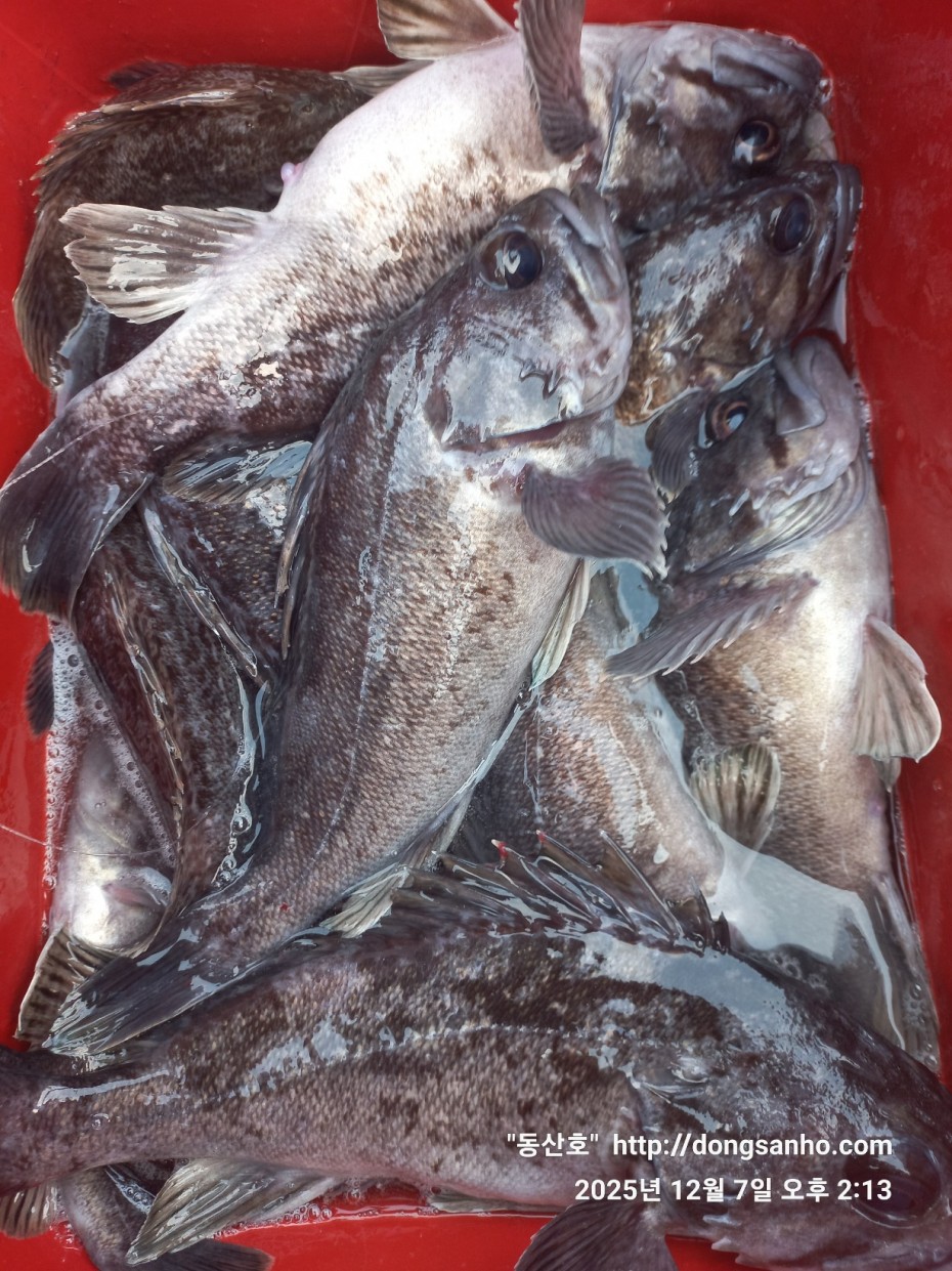
12/7 우럭낚시 9물 사리물 조황

작 성 자 동산호

본문




    ◇ 장고항 선상낚시 배낚시 바다낚시 낚시배 

 

        서해 동산피싱 "동산호" 우럭낚시 조황



     날짜 : 12월7일 (일요일)


     날씨 : 오전/장판  오후/똥바람


    물때 : 9물 (사릿물)


    성적 : 광어 우럭 볼락 


 

    오늘도 사릿물에 우럭낚시 다녀왔읍니다.



     이번 물때에서 오늘이 물이 가장 쎈날


     다행히도 오전에 날씨가 많이 도와주어서 어제보다는 


    오늘이 전체 조황이 더 좋네요.


    모든분들이 드실만큼씩 충분히 들고가셨네요.



    다음달 1월부터는 사릿물에는 출조 패스~ 


    물때 13물~4물까지만 우럭낚시 진행합니다.



    오늘 하루도 수고들하셨습니다.



   ☆출조문자 확인후 궁금한 사항이 있으시면 꼭 문의주세요.



    ※12월 1월 2월 쭈욱~ 우럭낚시 예약진행중입니다.


    ※빠른 조황정보는 "동산호" 밴드에서 확인 부탁합니다.

 

    ※출조일정 실시간 예약현황 예약등록가능  "클릭"

 

    ※예약문의 : 010-8771-5168



75fa8b21cb67879b08486f82596e85b3_1765160

75fa8b21cb67879b08486f82596e85b3_1765160

75fa8b21cb67879b08486f82596e85b3_1765160

75fa8b21cb67879b08486f82596e85b3_1765160

75fa8b21cb67879b08486f82596e85b3_1765161

75fa8b21cb67879b08486f82596e85b3_1765161

75fa8b21cb67879b08486f82596e85b3_1765161

75fa8b21cb67879b08486f82596e85b3_1765161

75fa8b21cb67879b08486f82596e85b3_1765161

75fa8b21cb67879b08486f82596e85b3_1765161

75fa8b21cb67879b08486f82596e85b3_1765161

     #선상낚시 #배낚시 #바다낚시 #낚시배

       #장고항선상낚시 #장고항배낚시 #장고항바다낚시 #장고항낚시배  

       #당진선상낚시 #당진배낚시 #당진바다낚시 #당진낚시배

       #우럭낚시 #서해우럭낚시 #개우럭 #참우럭 #조피볼락

       #서해선상낚시 #서해배낚시 #서해바다낚시 #서해낚시배

       #쭈꾸미낚시 #주꾸미낚시 #갑오징어낚시 #서해쭈꾸미낚시 #서해주꾸미낚시 

       #당진쭈꾸미낚시 #당진주꾸미낚시 #장고항쭈꾸미낚시 #장고항주꾸미낚시

       #광어 #다운샷 #광어다운샷 #대광어 #외수질 #산새우외수질 #농어 

       #농어외수질 #농어외수질낚시 #서해안선상낚시 #서해안배낚시​ 

 

댓글목록

등록된 댓글이 없습니다.