목록
작성일:25-11-29 00:56    조회:129회    댓글:0건
글 제 목

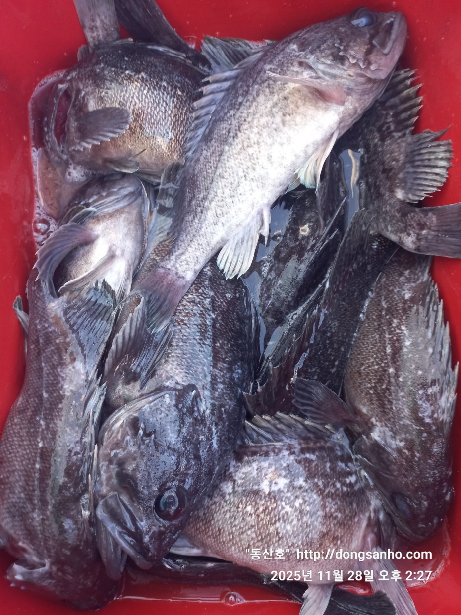
11/28 우럭낚시 풍성한 조황

작 성 자 동산호

본문




    ◇ 장고항 선상낚시 배낚시 바다낚시 낚시배 

 

        서해 동산피싱 "동산호" 우럭낚시 조황



    날짜 : 11월28일 (금요일)


    날씨 : 오전 (바람) 오후 (장판)


    물때 : 무쉬


    성적 : 우럭 볼락 



    기상악화로 하루 푹~쉬고 우럭낚시 다녀왔습니다.



    9시까지 바람이 조금 있었지만 우럭 꾸준히 나와주었네요.


    오늘도 오전에 만쿨하신분 오후에 만쿨한신분 개인별로


    조황차이는 있었지만 모든분들 만족스러운 조황입니다.



    오늘 하루도 수고들하셨습니다.



    ☆출조문자 확인후 궁금한 사항이 있으시면 꼭 문의주세요.



    ※12월 1월 2월 쭈욱~ 우럭낚시 예약진행중입니다.


    ※빠른 조황정보는 "동산호" 밴드에서 확인 부탁합니다.

 

    ※출조일정 실시간 예약현황 예약등록가능  "클릭"

 

    ※예약문의 : 010-8771-5168



3120293bfb324c82bb29ecd1297a955e_1764345

3120293bfb324c82bb29ecd1297a955e_1764345

3120293bfb324c82bb29ecd1297a955e_1764345

3120293bfb324c82bb29ecd1297a955e_1764345

3120293bfb324c82bb29ecd1297a955e_1764345

3120293bfb324c82bb29ecd1297a955e_1764345

3120293bfb324c82bb29ecd1297a955e_1764345

3120293bfb324c82bb29ecd1297a955e_1764345

3120293bfb324c82bb29ecd1297a955e_1764345

3120293bfb324c82bb29ecd1297a955e_1764345

3120293bfb324c82bb29ecd1297a955e_1764345

3120293bfb324c82bb29ecd1297a955e_1764345

3120293bfb324c82bb29ecd1297a955e_1764345

3120293bfb324c82bb29ecd1297a955e_1764345

3120293bfb324c82bb29ecd1297a955e_1764345

     #선상낚시 #배낚시 #바다낚시 #낚시배

       #장고항선상낚시 #장고항배낚시 #장고항바다낚시 #장고항낚시배  

       #당진선상낚시 #당진배낚시 #당진바다낚시 #당진낚시배

       #우럭낚시 #서해우럭낚시 #개우럭 #참우럭 #조피볼락

       #서해선상낚시 #서해배낚시 #서해바다낚시 #서해낚시배

       #쭈꾸미낚시 #주꾸미낚시 #갑오징어낚시 #서해쭈꾸미낚시 #서해주꾸미낚시 

       #당진쭈꾸미낚시 #당진주꾸미낚시 #장고항쭈꾸미낚시 #장고항주꾸미낚시

       #광어 #다운샷 #광어다운샷 #대광어 #외수질 #산새우외수질 #농어 

       #농어외수질 #농어외수질낚시 #서해안선상낚시 #서해안배낚시​ 

댓글목록

등록된 댓글이 없습니다.