목록
작성일:25-11-17 08:46    조회:103회    댓글:0건
글 제 목

11/15 우럭낚시 초보님도 풍족한 조황

작 성 자 동산호

본문



    ◇ 장고항 선상낚시 배낚시 바다낚시 낚시배 


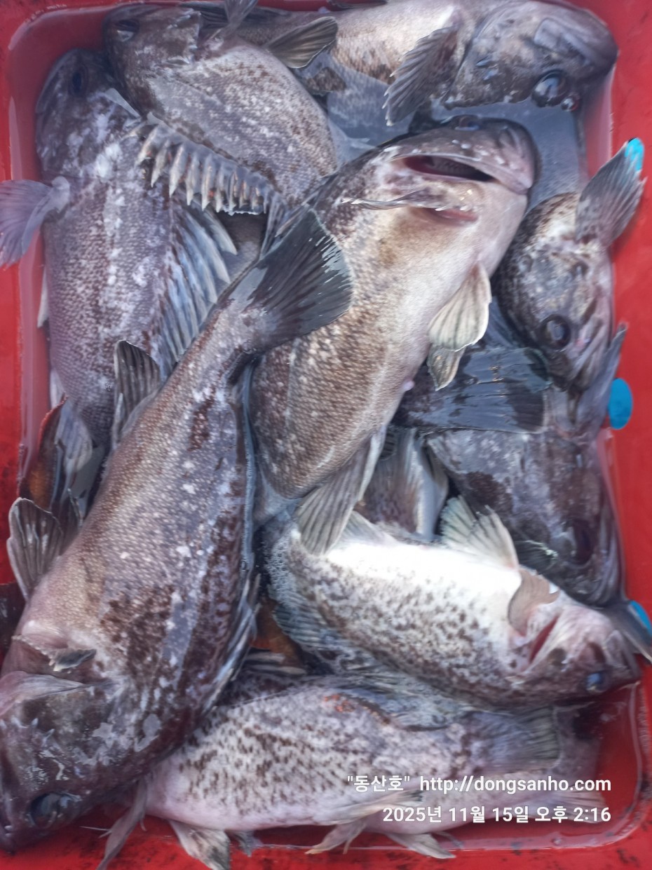
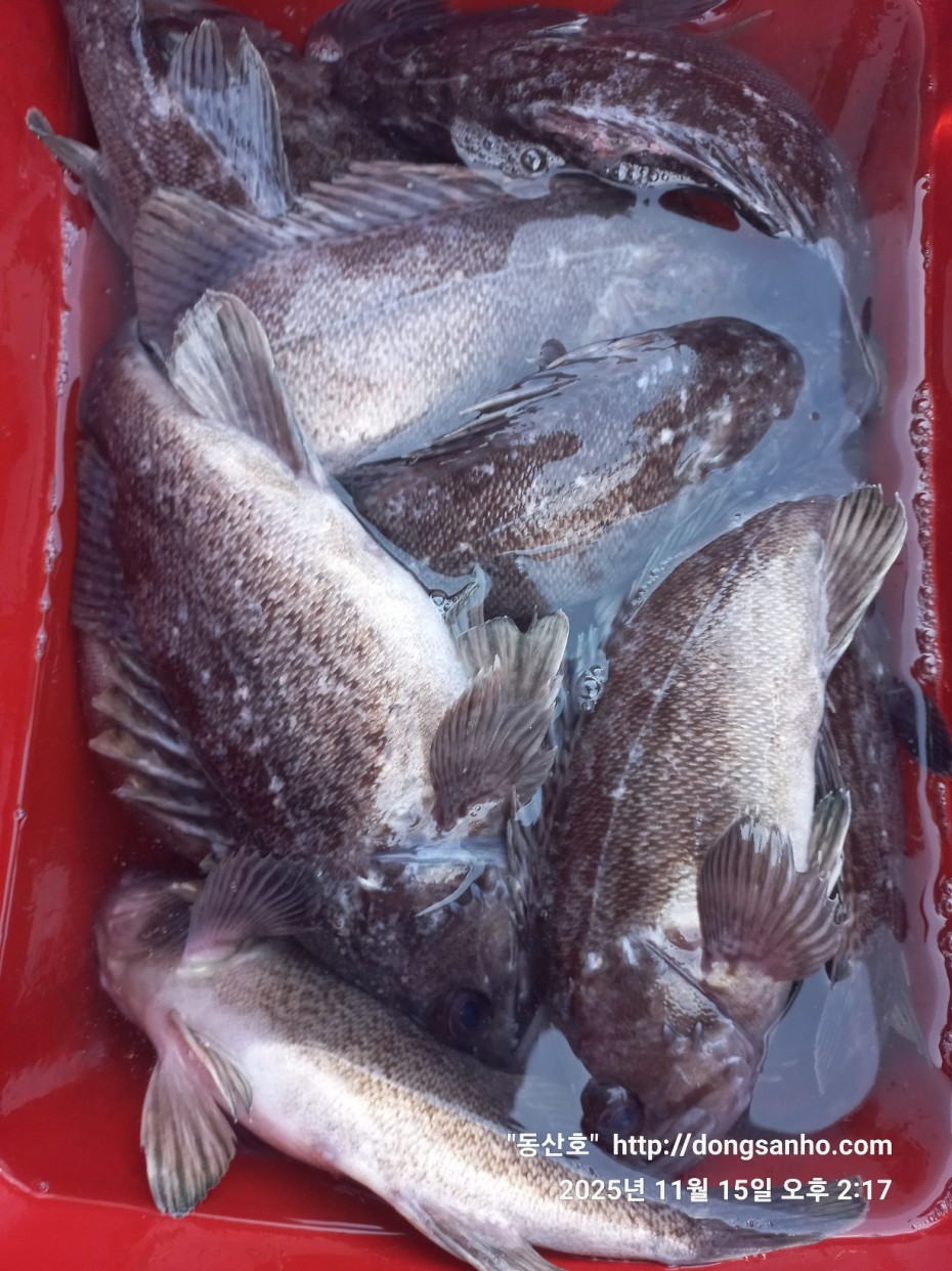
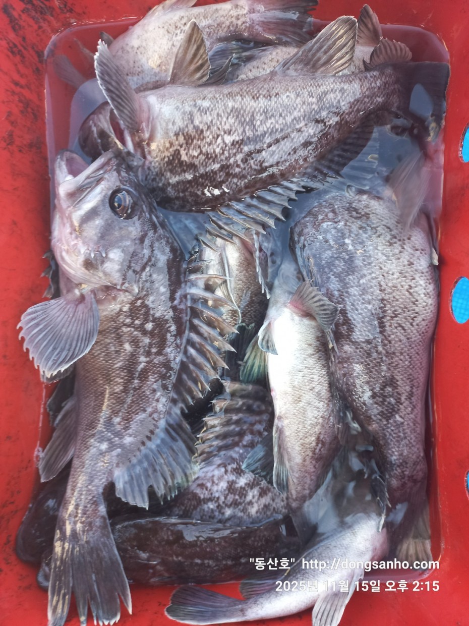
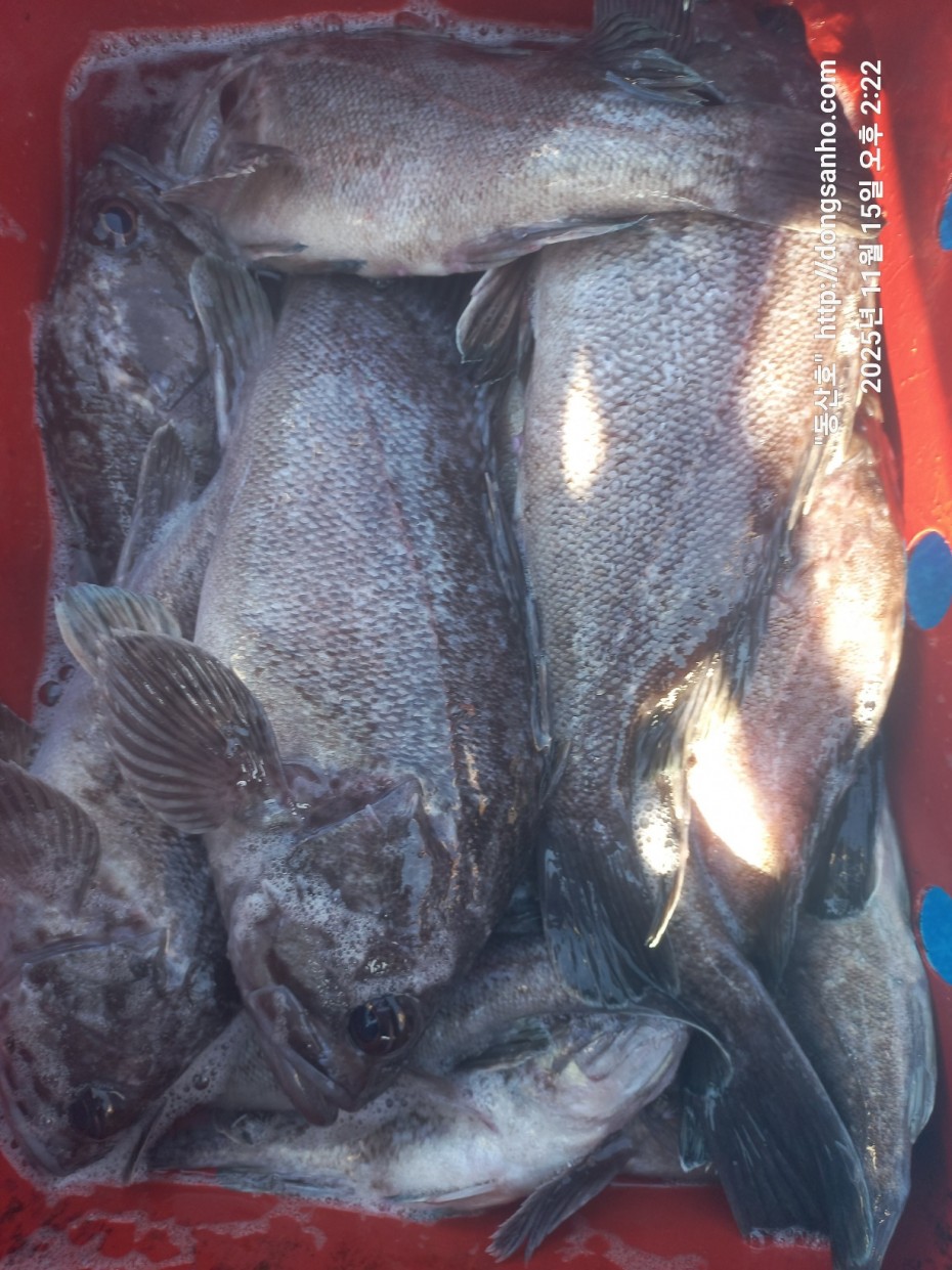
         서해 동산피싱 "동산호" 우럭낚시 조황


    날짜 : 11월15일 (토요일)

    날씨 : 맑음

    물때 : 2물

    성적 : 우럭 볼락


    우럭낚시 다섯째날입니다.

    어찌 오늘은 단골 조사님들이 한분도없네요.


    초보조사님 절반

    하루 그냥 열심히 돌아서 잘하시는분들은 만쿨들하시고 

    초보분들도 풍족하게 들고가셨네요.


    오늘 하루도 수고들하셨습니다.


    ☆쭈갑시즌 마무리중~
 
       쭈꾸미낚시 졸업식 출조는 11/24, 11/25 예약가능합니다.

 

   ※빠른 조황정보는 "동산호" 밴드에서 확인 부탁합니다.


   ※11~12월 농어 광어 우럭낚시 예약진행중입니다.

 

   ※출조일정 실시간 예약현황 예약등록가능  "클릭"


   ※예약문의 : 010-8771-5168



548679a1549b9f442f4852daebc8dff4_1763336

548679a1549b9f442f4852daebc8dff4_1763336

548679a1549b9f442f4852daebc8dff4_1763336

548679a1549b9f442f4852daebc8dff4_1763336

548679a1549b9f442f4852daebc8dff4_1763336

548679a1549b9f442f4852daebc8dff4_1763336

548679a1549b9f442f4852daebc8dff4_1763336

548679a1549b9f442f4852daebc8dff4_1763336

548679a1549b9f442f4852daebc8dff4_1763336

548679a1549b9f442f4852daebc8dff4_1763336

548679a1549b9f442f4852daebc8dff4_1763336

548679a1549b9f442f4852daebc8dff4_1763337

548679a1549b9f442f4852daebc8dff4_1763337

     #선상낚시 #배낚시 #바다낚시 #낚시배

       #장고항선상낚시 #장고항배낚시 #장고항바다낚시 #장고항낚시배  

       #당진선상낚시 #당진배낚시 #당진바다낚시 #당진낚시배

       #우럭낚시 #서해우럭낚시 #개우럭 #참우럭 #조피볼락

       #서해선상낚시 #서해배낚시 #서해바다낚시 #서해낚시배

       #쭈꾸미낚시 #주꾸미낚시 #갑오징어낚시 #서해쭈꾸미낚시 #서해주꾸미낚시 

       #당진쭈꾸미낚시 #당진주꾸미낚시 #장고항쭈꾸미낚시 #장고항주꾸미낚시

       #광어 #다운샷 #광어다운샷 #대광어 #외수질 #산새우외수질 #농어 

       #농어외수질 #농어외수질낚시 #서해안선상낚시 #서해안배낚시​ 

댓글목록

등록된 댓글이 없습니다.