목록
작성일:25-10-31 00:59    조회:222회    댓글:0건
글 제 목

10/30 우럭낚시 만만쿨~ 조황

작 성 자 동산호

본문




    ◇ 장고항 선상낚시 배낚시 바다낚시 낚시배 

 

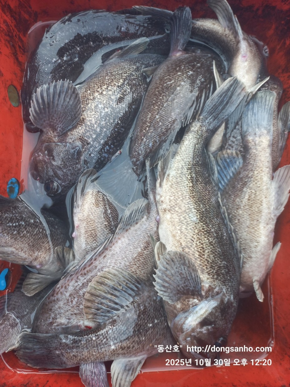
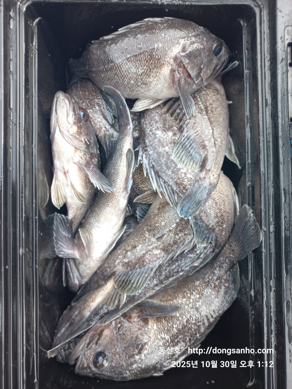
        서해 동산피싱 "동산호" 우럭낚시 조황



    날짜 : 10월30일 (목요일)


    날씨 : 흐림 (바람살짝)


    물때 : 1물


    성적 : 광어 우럭 노래미 볼락



     쭈갑시즌이 끝나가고 다시 돌아오고있는 우럭낚시시즌

    

     오늘은 오랜만에 우럭낚시 다녀왔습니다.



    수온이 아직까지는 높네요 18~20°c


    오전10:30 물통 가득히 우럭 만쿨로 채워드리고 점심전에


    물통부족 더블 만만쿨로 점심식사후 조기퇴근했네요.



    오늘 하루도 수고들하셨습니다.



   ※빠른 조황정보는 "동산호" 밴드에서 확인 부탁합니다.


   ※10월부터 쭈꾸미 갑오징어 병행출조합니다.


   ※11~12월 농어 광어 우럭낚시 예약진행중입니다.

  

   ※출조일정 실시간 예약현황 예약등록가능  "클릭"

   

   ※예약문의 : 010-8771-5168



857128367e0136763c15d97be9d2e54e_1761840

857128367e0136763c15d97be9d2e54e_1761840

857128367e0136763c15d97be9d2e54e_1761840

857128367e0136763c15d97be9d2e54e_1761840

857128367e0136763c15d97be9d2e54e_1761840

857128367e0136763c15d97be9d2e54e_1761840

857128367e0136763c15d97be9d2e54e_1761840

857128367e0136763c15d97be9d2e54e_1761840

857128367e0136763c15d97be9d2e54e_1761840

857128367e0136763c15d97be9d2e54e_1761840

857128367e0136763c15d97be9d2e54e_1761840

857128367e0136763c15d97be9d2e54e_1761840

857128367e0136763c15d97be9d2e54e_1761840

857128367e0136763c15d97be9d2e54e_1761840

857128367e0136763c15d97be9d2e54e_1761840

857128367e0136763c15d97be9d2e54e_1761840

857128367e0136763c15d97be9d2e54e_1761840

857128367e0136763c15d97be9d2e54e_1761840

857128367e0136763c15d97be9d2e54e_1761840

857128367e0136763c15d97be9d2e54e_1761840

857128367e0136763c15d97be9d2e54e_1761840

     #선상낚시 #배낚시 #바다낚시 #낚시배

       #장고항선상낚시 #장고항배낚시 #장고항바다낚시 #장고항낚시배  

       #당진선상낚시 #당진배낚시 #당진바다낚시 #당진낚시배

       #우럭낚시 #서해우럭낚시 #개우럭 #참우럭 #조피볼락

       #서해선상낚시 #서해배낚시 #서해바다낚시 #서해낚시배

       #쭈꾸미낚시 #주꾸미낚시 #갑오징어낚시 #서해쭈꾸미낚시 #서해주꾸미낚시 

       #당진쭈꾸미낚시 #당진주꾸미낚시 #장고항쭈꾸미낚시 #장고항주꾸미낚시

       #광어 #다운샷 #광어다운샷 #대광어 #외수질 #산새우외수질 #농어 

       #농어외수질 #농어외수질낚시 #서해안선상낚시 #서해안배낚시​ 

 

댓글목록

등록된 댓글이 없습니다.